Colaboración con El Pincoyazo
Precio del suelo: la principal barrera para la construcción de vivienda social
Los subsidios que entregan los Servicios de Vivienda y Urbanización (SERVIU) para los comités de vivienda establecen un tope máximo para destinar a la compra del terreno de 300 UF para así no desfinanciar otras áreas, como la construcción misma. De esa forma, si el precio del terreno es mayor a esa 300 UF por familia, se descarta el terreno.
Durante muchos años esto ha causado que la gran mayoría de proyectos de vivienda social se construyeran en la periferia de la ciudad y con mal acceso a servicios públicos, y no porque no exista suelo disponible. En algunos momentos el Estado ha definido subsidios adicionales para cubrir esta brecha, pero a la larga, siempre han terminado siendo absorbidos por la especulación que hacen con los precios quienes controlan la propiedad del suelo en la ciudad.
En otras palabras, no poner un freno a la especulación del precio del suelo y, en su reemplazo, subsidiar esa brecha, ha sido la salida que dispuso el Estado para hacer viable algunos proyectos, como los 61 revisados en esta investigación.
¿El problema? Que se hace a costa de empobrecer aún más la billetera familiar y fiscal, se excluye a los sectores más pobres que no tienen capacidad de ahorro, y al no atacar la causa, se termina convirtiendo en un incentivo para que las empresas aumenten el precio del suelo, profundizando la crisis.
La Glosa 9 de ahorro adicional
En vez de poner un freno a la especulación con el precio del suelo, durante el segundo gobierno de Piñera el Ministerio de Vivienda y Urbanismo (MINVU) creó una glosa, que es una facultad de gasto definida en el Presupuesto (dura un año), y que en este caso consistió en que los SERVIU puedan aumentar el monto del subsidio para comprar terrenos más caros, siempre y cuando parte de ese costo lo asuman las familias a través de un mayor ahorro.
Esta política (glosa 12 inicialmente, luego glosa 10 y hasta 2025 glosa 9) no solo se mantuvo durante el actual gobierno de Boric, sino que también se intensificó.
Según datos del MINVU sistematizados por El Pincoyazo, solo entre abril de 2024 y abril de 2025 se aprobaron 61 proyectos por esta glosa, según el siguiente desglose:
- De manera global, los subsidios regulares para estos 61 proyectos (8.723 viviendas) eran capaces de cubrir un total cercano a $96 mil millones de pesos por los 61 terrenos (estimando 300 UF máximo por subsidio para destinar al suelo), pero como los dueños esperan más ganancias y cuentan con un poder absoluto para imponer el precio, terminaron recibiendo $67 mil millones adicionales (+70%), distribuidos en un 14% por mayor ahorro familiar y 86% por un aumento de los subsidios estatales, en promedio.
- Las casi 9 mil familias que postularon por esta vía debieron desembolsar $2,5 millones de ahorro adicional en promedio, solo destinado a cubrir el precio del suelo, existiendo proyectos donde el ahorro adicional supera los $6 millones de pesos en promedio (las familias ahorran más o menos dependiendo del tramo que tengan en el Registro Social de Hogares).
- Los $67 mil millones extra destinados a terreno no solo representan una forma de sostener la ganancia privada, sino también contribuye a profundizar la crisis de acceso a la vivienda, ya que se incentivan las alzas y también son miles de millones menos en caja para resolver la necesidad.
- Este aumento en el costo del terreno significa que los cerca de $47 millones que cuesta una vivienda social por la vía regular en promedio, con la actual glosa 9 su precio aumentó a $55 millones, y toda esa diferencia se va directo al bolsillo del dueño del terreno. Cabe aclarar que esta estimación mantiene los mismos costos de construcción real señalados en estos proyectos, y que estos cambian dependiendo de la comuna y región.
Revisa aquí el detalle de costos de los 61 proyectos aprobados por glosa 9

Ahorro adicional promedio por comuna de proyectos aprobados por el SERVIU RM vía Glosa 9 (2024-2025)

El terreno del Grupo Patio en Peñalolén

En una gran cantidad de casos, los dueños de los terrenos los compran para hacerlos engordar de precio, jugando con la necesidad de suelo, presionando por precios mayores, muchas veces sin haber invertido nada durante años, pero capturando la plusvalía que el terreno puede adquirir por tener nuevos atributos generados por la inversión de otros actores, como ocurre cuando se crea una estación de metro cerca u otro tipo de servicios gracias a la inversión del Estado.
Dentro de las compras de terrenos registradas por esta vía a los SERVIU, uno de los más caros fue el del proyecto habitacional Quebrada de Macul en Peñalolén (288 viviendas), cuya transacción benefició nada más ni nada menos que al Grupo Patio, el mismo que durante el segundo gobierno de Piñera se benefició del lobby de Luis Hermosilla para que el Seremi de Vivienda destrabara en tiempo record los traspasos de tres terrenos que, en conjunto, son valorados en $10.372 millones, según informó CIPER.

El Pincoyazo revisó en el Conservador de Bienes Raíces de Santiago las escrituras de las últimas tres transacciones del terreno que el SERVIU compró al Grupo Patio, identificando un aumento de un 300% su valor de compra entre 2012 y 2024, según el siguiente detalle:
- En 2024, el SERVIU adquirió el terreno (2,6 hectáreas) por $7.845 millones de pesos para las 288 familias que componen el proyecto (8 UF por cada m2).
- En 2020 este mismo terreno había sido comprado por el Grupo Patio en 5 UF por cada m2 (previo a su subdivisión). Esto quiere decir que en cuatro años la tierra baldía generó una ganancia de $3.110 millones, solo por reservar e intermediar el traspaso.
- En 2012, la Inmobiliaria Paseo Peñalolén de la familia Saieh Guzmán había comprado el terreno a la Sociedad Inmobiliaria Mario Nervi y Compañía Limitada a un valor de 2 UF por m2, embolsándose un 150% sobre el valor original de compra en solo 8 años y sin hacer nada ($9.085 millones a valor actual por todo el terreno de 7,5 hectáreas antes de subdividirse). Cabe tener presente que en 1987 el mismo terreno había sido avaluado en $4 millones, según consta en la escritura.
Este caso, en donde un terreno aumentó su valor en un 300% en 12 años pese a no haberse agregado a él un valor real por parte del dueño, como podría ser su urbanización, grafica muy bien una tendencia más generalizada en la ciudad neoliberal, que es la capacidad que tienen los grandes capitales de reservar porciones de ciudad, presionar por aumentar su precio y así aumentar su acumulación a costa del despojo de los recursos familiares y sociales.
Revisa acá las escrituras del terreno (2012, 2020 y 2024)
Luego de estallar el caso Hermosilla en 2023 y que involucró como beneficiario final de las facturas falsas a los hermanos Jalaff -socios del Grupo Patio hasta ese entonces-, en 2024 hubo cambios en la propiedad, siendo sus principales accionistas: el matrimonio de Paola Luksic y Óscar Lería (26%); Eduardo Elberg (26%); Guillermo Harding (20%) y Gabriela Luksic (15%).

De esta forma, al no existir facultades para poner un límite al precio del suelo, la especulación sobre su valor se termina cubriendo con más recursos públicos y más empobrecimiento de las familias sin casa que en este caso, para cubrir la expectativa de ganancia del Grupo Patio, debieron aumentar su ahorro en $5,2 millones de pesos en promedio.

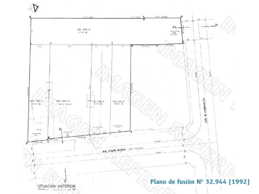
El terreno de Carrascal en Quinta Normal

Otro de los casos revisados en esta investigación fue el del terreno del proyecto Carrascal en Quinta Normal para 139 viviendas, en un sector con buena ubicación y cercano a la Municipalidad. Según el historial de transacciones:
- En 2005, Banco Santander-Chile registra un pagó de 2.690 UF por las 0,4 hectáreas que sumaban todos los terrenos antes de fusionarse en uno solo, ubicado en calle Radal 2166 a Santiago Leasing S.A (0,67 UF por m2, equivalente a $106 millones valor actual).
- Luego, en diciembre de 2009, Oscar Azócar y Compañía Limitada pagó al Banco Santander-Chile 8.890 UF por todos los terrenos (2,2 UF por m2, equivalente a $351 millones actuales), antes de fusionarse en el terreno actual. ¿El negocio? No producir nada, sino que solo esperar que la crisis habitacional se desarrolle.
- En febrero de 2025, el SERVIU firmó una promesa de compra por 83.985 UF por las mismas 0,4 hectáreas (21 UF por m2, equivalente a $3.317 millones) para construir 139 viviendas. De esa forma, la empresa intermediaria se embolsó $2.966 millones por reservar el terreno durante 15 años.

Para hacer posible la compra de este terreno, el SERVIU debió aumentar el subsidio a 72.227 UF ($2.853 millones) y las familias otras 11.758 UF ($464 millones). Eso significó que, en promedio, las 139 familias debieron aumentar su ahorro en $3,3 millones.

Pago de terrenos con anticipos del SERVIU
Según la Glosa 6 del mismo Presupuesto MINVU 2025, las empresas constructoras o entidades patrocinantes podrán pedir un préstamo al SERVIU para adquirir el terreno a una tasa de un 0% de interés y que podrán devolver en un plazo de tres años.
En resumidas cuentas, esto quiere decir que además de cubrir el valor de especulación con más ahorro familiar y más subsidios estatales, la empresa privada a cargo de gestionar y construir el proyecto puede cubrir el gasto del terreno con un anticipo que le entrega el SERVIU.
Si bien esto se carga al monto final del subsidio, representa dejar de disponer de recursos públicos para construir más viviendas o mejorar la calidad de estas para priorizar dar dinero fresco a la empresa privada, quien no asume el riesgo del proyecto (lo hace el Estado) ni tampoco tiene que pasar al banco un porcentaje de su ganancia.
El único ministerio que en Chile juega a ser un banco a través de estos mecanismos es el de vivienda, lo cual resulta una anomalía y un diseño de política pública completamente ineficiente para los fines últimos que, al menos en el papel, se supone que persigue el MINVU, como es asegurar el acceso a la vivienda a quienes no pueden hacerlo por la vía del mercado.
Expulsión encubierta
Los defensores de la hasta ahora glosa 9 dicen que a través de ella las familias pueden acceder a terrenos en sus mismas comunas o cercanías, lo cual es cierto. La pregunta es quiénes y a qué costo.
Daniela Ocaranza es dirigenta del proyecto Pachamama que agrupa a 44 familias en Peñalolén y que en promedio debieron aumentar su ahorro a $3,4 millones de pesos para acceder a un terreno en la comuna, a pesar de que alrededor hay decenas de hectáreas de suelo sin uso reservados para futuros proyectos privados, presos de la especulación, como es el caso de la Viña Cousiño.
Cuando al comité se le presenta la opción de aumentar el ahorro, Daniela dice que “fue muy duro para muchos ya que bastante de las familias se encontraban sin trabajo y con condiciones bien complejas. Nuestro proyecto son 44 familias de las cuales 12 son adultas mayores y asesoras del hogar que además tienen responsabilidades de menores. Muchas familias acudieron a prestamos entre amigos y familiares, y solo 3 o 4 pudieron optar a un crédito a través del banco, y otro par lo logró con las benditas pollas”.
Sobre la política de vivienda en Chile, la dirigenta plantea que “mientras no se entienda que la vivienda debe ser un derecho, como la educación y la salud, siempre vamos a estar en crisis. El Estado hoy no tiene músculo para hacerse cargo de la crisis habitacional, ni como entidad patrocinante ni como constructora, no están capacitados”.

Lee acá “Lo Hermida por el Derecho a la Vivienda Digna”
Al exigir un ahorro adicional en la mayoría de casos por varios millones, los proyectos que se aprueban por glosa 9 automáticamente dejan fuera del proceso al sector de la población que no tiene capacidad de ahorro o endeudamiento por tres, cinco o hasta ocho millones, lo que se traduce en mantenerse en el hacinamiento, irse a un campamento o seguir pagando arriendos que vacían gran parte del salario.
La discusión del Presupuesto 2026
Actualmente, en la discusión del Presupuesto 2026 del MINVU, la Dirección de Presupuestos del Ministerio de Hacienda cuestionó que se siga extendiendo la glosa 9, pero por un tema de forma y no de fondo, argumentando que no se pueden asignar gastos que empiezan a ser permanentes bajo glosas diseñadas para gastos transitorios.
Por eso es que el Presupuesto del MINVU que presentó el gobierno no incluye esta glosa para el 2026, lo que generó el rechazo de algunos parlamentarios de gobierno en cuyos distritos hay comités de vivienda que se crearon especialmente para levantar sus proyectos con esta glosa.
En algunos casos, estos procesos han sido levantados por los propios municipios, a través de sus entidades patrocinantes, y si no se renueva la glosa, estos proyectos podrían quedar en el aire si el SERVIU no se saca del sombrero otro subsidio para tapar el hoyo.
Hasta la publicación de esta investigación, seguía pendiente la decisión de si la glosa 9 se reincorporaría al presupuesto bajo el acuerdo de que el próximo año se discutiera su incorporación al DS49, pero como la política neoliberal de vivienda sigue siendo un consenso por todos los sectores presentes en el Congreso, lo más probable es que se extienda sin que nadie plantee la necesidad de superarla.
El pasado 25 de octubre, los comités del Movimiento Solidario Vida Digna realizaron marchas en las comunas de Huechuraba, San Joaquín y San Ramón para exigir agilizar sus proyectos, pero también cambios en la política de vivienda.
Respecto a la glosa 9, desde Vida Digna tienen una visión crítica. “El problema de la glosa 9 es que, en vez de ponerse un freno a la especulación del precio del suelo, que hasta el ministro asume que es una de las causas de la crisis, el Estado ha ido creando mecanismos como este para reproducir el mismo modelo, y eso es un círculo vicioso”, dice Simón González, vocero del movimiento.
Lee acá el comunicado del Movimiento Solidario Vida Digna
El rol de la organización popular
A nivel organizativo y del tejido vecinal, aumentar el ahorro para cubrir el precio del suelo muchas veces rompe las asambleas, ya que deja fuera del barco a quienes no pueden ahorrar o sostener un préstamo por ese monto, aun cuando una cantidad importante de familias que componen los comités se endeuda por vías informales para alcanzar el ahorro.
Ante estas opciones a veces tentadoras, las dirigencias sociales y en general los comités de vivienda tienen que ser capaces de cuestionarse estos caminos, porque aun cuando permitan una posibilidad, apuntan a su desarticulación, lo que se ve expresado muchas veces en cambios en las mismas condiciones de ahorro a medida que avanza el proceso, sin tener la capacidad de defenderse, justamente por efecto de esa desarticulación.
Más allá de la decisión que tomen los comités, es importante que estos temas sean informados y discutidos en las asambleas, y volverlos conscientes, porque al no entender el lugar que ocupan en el panorama más amplio del negocio que se crea con esta necesidad, los comités pueden terminar siendo instrumento de las mismas empresas para exigir más traspasos de recursos, o a extender eternamente una glosa para tapar el sol con un dedo, sin tocar el sistema y la desigualdad que reproduce.


